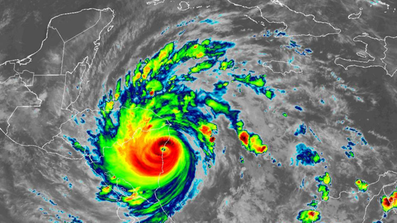
Hurricane Elsa weakens as storm continues across Caribbean; Florida remains in projected path
Make sure to download the FOX 35 Storm Team Weather App for updates.
Hurricane Elsa forecast to approach Florida, but long-term track uncertain
Hurricane Elsa's forecast continues to be uncertain beyond a few days. Some models bring it west into the Gulf of Mexico; others suggest it will take a more eastern path. Nearly all of Florida is in the forecast cone.
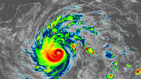
Tropical Storm Elsa forms as fifth named storm of hurricane season
While Tropical Storm Elsa officially formed Thursday morning, it’s still too soon to determine what – if any – impacts could happen next week for Florida. Elsa is the earliest fifth named storm on record for the Atlantic hurricane season.
These locations named most at risk for 2021 Atlantic hurricane season
National Oceanic and Atmospheric Administration predicts states along the Atlantic coast will see another 'above-normal' year.
June 1 marks official start to 2021 Atlantic hurricane season
The 2021 Atlantic Hurricane Season officially begins June 1 and one of the names for this year has already been used.
Subtropical storm Ana forms near Bermuda; first named system of 2021
Subtropical storm Ana formed in the Atlantic Ocean early Saturday, according to the National Hurricane Center.
NOAA predicts active hurricane season as forecasters eye 2 Atlantic disturbances
Forecasters at NOAA’s Climate Prediction Center announced their 2021 hurricane season outlook, which suggests the United States should brace for another active season. Meanwhile, forecasters were watching two disturbances in the Atlantic.
NOAA expects above-average hurricane season in 2021
The 2021 hurricane season will be another busy one, according to forecasters at the National Oceanic and Atmospheric Administration, but probably not quite as busy as last year’s record-shattering season.
Humans are likely cause of shift in Atlantic hurricane cycles, climate study suggests
The new study found that humans — not nature — are likely the primary cause of changes in Atlantic hurricane patterns.
2020 hurricane season, the most active on record, comes to an end
A record-breaking 2020 Atlantic hurricane season officially comes to an end on Nov. 30, and it was one of the history books. However, it's important to note tropical storms could continue to develop past Monday, reports NOAA.
Devastating hurricanes to spur more Central American migration
Inside shelters and improvised camps across Central America, families who lost everything in the severe flooding set off by the two major hurricanes are arriving at the same conclusion.
Mysterious shipwreck that may date back to 1800s emerges on Florida beach after Tropical Storm Eta
A mysterious shipwreck that may date back to the 1800s has emerged from the sands of a northern Florida beach.
Iota makes landfall; Nicaragua struck by 2nd hurricane in 2 weeks
Hurricane Iota has roared ashore as a dangerous Category 4 storm along almost exactly the same stretch of Nicaragua’s Caribbean coast that was devastated by an equally powerful Hurricane Eta 13 days earlier.
Hurricane Iota reaches Category 5 strength as it moves toward Central America
Hurricane Iota is now a dangerous Category 5 storm that is likely to bring catastrophic damage to the same part of Central America already battered this month by powerful Hurricane Eta.
Hurricane Iota heads for already battered Nicaragua, Honduras
Hurricane Iota is rapidly gaining strength after becoming the 13th hurricane of the Atlantic season.
Tropical Storm Iota forms in Caribbean
The record-breaking 2020 hurricane season continues, as Tropical Storm Iota has formed in the Caribbean.
Eta moves offshore after bringing heavy rain to Florida, North Carolina
Some parts of the Carolinas saw three to seven inches of rainfall by Thursday afternoon.
Tropical Storm Eta headed for landfall on Florida's west coast
Eta has weakened to a tropical storm just hours after regaining hurricane strength as Florida braces for a second hit from the storm.
Tropical Storm Theta breaks record as Florida's west coast braces for Tropical Storm Eta landfall
Tropical Storm Theta — which formed overnight and broke a record as the 29th named Atlantic storm of the season — is chugging east toward Europe on the cusp of hurricane status.
South Florida feels wrath of Tropical Storm Eta, storm may linger for days
Florida is bracing for more impacts from Tropical Storm Eta, which has already brought heavy rains and flooded city streets in the state.



















