Arizona FEMA search-and-rescue team back home from Hurricane Laura disaster relief
A FEMA search-and-rescue team comprised of 45 members and 2 K-9's are headed to Louisiana Aug. 26 to help with efforts against the destruction of Hurricane Laura once it makes landfall.
A FEMA search-and-rescue team comprised of 45 members and 2 K-9's are headed to Louisiana Aug. 26 to help with efforts against the destruction of Hurricane Laura once it makes landfall.
Tropical Depression Laura still dangerous as it moves through Mid-Mississippi Valley; death toll climbs to 11
The remnants of Hurricane Laura are unleashing heavy rain hundreds of miles inland from a path of death and destruction left along the northwest Gulf Coast.
The remnants of Hurricane Laura are unleashing heavy rain hundreds of miles inland from a path of death and destruction left along the northwest Gulf Coast.
Hurricane Laura topples Louisiana Confederate monument weeks after officials voted to keep it
The Calcasieu Parish Police Jury had voted just weeks prior to leave the South’s Defenders Monument on the grounds of the courthouse.
The Calcasieu Parish Police Jury had voted just weeks prior to leave the South’s Defenders Monument on the grounds of the courthouse.
‘Houses that are totally gone’: 4 dead as Tropical Storm Laura exits Louisiana, leaving wake of destruction
One of the strongest hurricanes ever to strike the U.S. pounded the Gulf Coast with wind and rain early Thursday morning, but Laura rapidly weakened and was downgraded to a tropical storm by afternoon.
One of the strongest hurricanes ever to strike the U.S. pounded the Gulf Coast with wind and rain early Thursday morning, but Laura rapidly weakened and was downgraded to a tropical storm by afternoon.
'Glass falling everywhere': Video, images show damage in the aftermath of Hurricane Laura
Laura pounded the Gulf Coast with heavy wind and torrential rain, unleashing a wall of seawater on cities in its path.
Laura pounded the Gulf Coast with heavy wind and torrential rain, unleashing a wall of seawater on cities in its path.
Tropical Storm Laura left behind a beautiful 'eddy' when passing close to Key West, NWS explains
Bryan Kasch captured the awesome, vivid photos just days after Tropical Storm Laura moved near Key West.
Bryan Kasch captured the awesome, vivid photos just days after Tropical Storm Laura moved near Key West.
4 deaths caused by falling trees in Louisiana during Hurricane Laura
The governor of Louisiana says four people, including a 14-year-old girl and an 68-year-old man, were killed by falling trees as Hurricane Laura moved through the state.
The governor of Louisiana says four people, including a 14-year-old girl and an 68-year-old man, were killed by falling trees as Hurricane Laura moved through the state.
Hurricane Laura captured in stunning pictures from space
NASA astronaut Chris Cassidy has photographed Hurricane Laura from his vantage point on the International Space Station.
NASA astronaut Chris Cassidy has photographed Hurricane Laura from his vantage point on the International Space Station.
Chemical fire billows near Lake Charles in Hurricane Laura’s wake
A fire at a Louisiana chlorine plant erupted with thick, billowing smoke Thursday after Hurricane Laura plowed through part of the country’s petrochemical corridor with storm surges and fierce wind, forcing residents around the plant to shelter in their homes.
A fire at a Louisiana chlorine plant erupted with thick, billowing smoke Thursday after Hurricane Laura plowed through part of the country’s petrochemical corridor with storm surges and fierce wind, forcing residents around the plant to shelter in their homes.
Louisiana sheriff to residents: ‘Write your name... and next of kin and put it in a ziploc bag in your pocket’
The Vermilion Parish Sheriff’s Office issued a mandatory evacuation and grim warning to residents choosing to ride out Hurricane Laura rather than evacuate.
The Vermilion Parish Sheriff’s Office issued a mandatory evacuation and grim warning to residents choosing to ride out Hurricane Laura rather than evacuate.
All hands on deck: Linemen, Cajun Navy volunteers prepare to assist as Hurricane Laura bears down
Hundreds of volunteers, from linemen to boat crews to chainsaw crews, were assisting local governments and first responders to prepare to provide relief in the wake of the hurricane’s destruction.
Hundreds of volunteers, from linemen to boat crews to chainsaw crews, were assisting local governments and first responders to prepare to provide relief in the wake of the hurricane’s destruction.
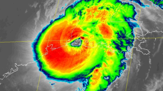
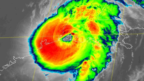
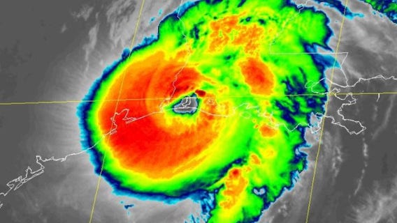
Hurricane Laura moving inland over Louisiana after making landfall as Cat 4
Hurricane Laura made landfall and brings unsurvivable storm surge with large and destructive waves that will cause catastrophic damage from Sea Rim State Park, Texas, to Intracoastal City, Louisiana.
Hurricane Laura made landfall and brings unsurvivable storm surge with large and destructive waves that will cause catastrophic damage from Sea Rim State Park, Texas, to Intracoastal City, Louisiana.
Dual disasters: Incredible satellite imagery captures Hurricane Laura, wildfires in California from space
Video from NOAA’s satellite Instagram account showed hurricane clouds and dust plumes on Aug. 25 as taken from the GOES-West satellite.
Video from NOAA’s satellite Instagram account showed hurricane clouds and dust plumes on Aug. 25 as taken from the GOES-West satellite.
As Hurricane Laura bears down, nursing homes juggle evacuations amid coronavirus fears
About 1,500 residents of long-term care facilities in Texas have been evacuated as a powerful Hurricane Laura nears its coastline.
About 1,500 residents of long-term care facilities in Texas have been evacuated as a powerful Hurricane Laura nears its coastline.
Major hurricanes are brewing at a higher rate than years past, and they're causing more damage
Nasty hurricanes that cause billions of dollars in damage are hitting more often.
Nasty hurricanes that cause billions of dollars in damage are hitting more often.
Timelapse shows Texans evacuating inland ahead of Hurricane Laura
A timelapse shows Texans evacuating ahead of Hurricane Laura.
A timelapse shows Texans evacuating ahead of Hurricane Laura.
Hurricane Laura, now Category 4, may bring 'unsurvivable' storm surge to Texas-Louisiana border
Storm surge from Laura could reach up to 30 miles inland, say forecasters
Storm surge from Laura could reach up to 30 miles inland, say forecasters
Hurricane Laura continues strengthening in Gulf of Mexico; forecast to become major hurricane
Hurricane Laura is moving across the Gulf of Mexico and is expected to strengthen as it approaches the upper Texas and southwest Louisiana coasts.
Hurricane Laura is moving across the Gulf of Mexico and is expected to strengthen as it approaches the upper Texas and southwest Louisiana coasts.
Hurricane Laura forces hundreds of thousands to evacuate Gulf Coast
More than 385,000 residents were told to flee the Texas cities of Beaumont, Galveston and Port Arthur, and another 200,000 were ordered to leave low-lying Calcasieu Parish in southwestern Louisiana, where forecasters said as much as 13 feet (3.96 meters) of storm surge topped by waves could submerge whole communities.
More than 385,000 residents were told to flee the Texas cities of Beaumont, Galveston and Port Arthur, and another 200,000 were ordered to leave low-lying Calcasieu Parish in southwestern Louisiana, where forecasters said as much as 13 feet (3.96 meters) of storm surge topped by waves could submerge whole communities.
Hurricane Laura forms; projected to strengthen before Gulf Coast landfall
Laura became a hurricane on Tuesday morning as it entered the warm and deep waters of the Gulf of Mexico, gathering strength on a path to hit the U.S. coastline early Thursday as a major hurricane that could unleash a surge of seawater higher than a basketball hoop and swamp entire towns.
Laura became a hurricane on Tuesday morning as it entered the warm and deep waters of the Gulf of Mexico, gathering strength on a path to hit the U.S. coastline early Thursday as a major hurricane that could unleash a surge of seawater higher than a basketball hoop and swamp entire towns.



















