Beware the 'I' storm: It has more retirees than any other letter used for Atlantic hurricane names
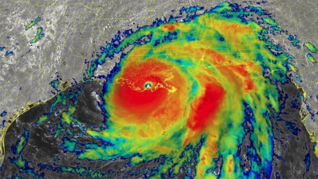
Tweleve 'I' storms have been retired in the Atlantic – 10 of them since 2001.
Tweleve 'I' storms have been retired in the Atlantic – 10 of them since 2001.
Federal investigators order Amazon to review severe weather procedures after workers killed during tornado
The company said it will hold additional emergency preparedness drills and consider safety recommendations to improve safety.
The company said it will hold additional emergency preparedness drills and consider safety recommendations to improve safety.
Wildfires erupt out West, prompting evacuations and emergency declarations
Wildfire has become a year-round threat in the West given changing conditions that include earlier snowmelt and rain coming later in the fall.
Wildfire has become a year-round threat in the West given changing conditions that include earlier snowmelt and rain coming later in the fall.
‘We’re just trusting God to help us’: Pastor of church destroyed by tornado pushes ahead with Easter services
Amongst the rubble is the site of the Victory Baptist Church, which is essentially now nothing more than a concrete slab.
Amongst the rubble is the site of the Victory Baptist Church, which is essentially now nothing more than a concrete slab.
Watch: Storm chaser video shows moment lightning strikes car during Iowa tornado
A storm chaser in Iowa captured a “once in a lifetime” video of lightning striking his friend’s car during a tornado.
A storm chaser in Iowa captured a “once in a lifetime” video of lightning striking his friend’s car during a tornado.
Hail larger than grapefruits falls over Central Texas
The 5.5-inch hailstone fell in Salado, Texas.
The 5.5-inch hailstone fell in Salado, Texas.
Potentially life-threatening blizzard pounds Northern Plains with historic snow, high winds
As much as 47 inches of snow has piled up in one Montana town since Monday, while up to 16 inches has been measured to the east in North Dakota.
As much as 47 inches of snow has piled up in one Montana town since Monday, while up to 16 inches has been measured to the east in North Dakota.
Dust storm batters Las Vegas; National Weather Service issued warning for area
Officials with the National Weather Service issued a Dust Storm Warning as blowing dust reduced visibility in the Las Vegas area.
Officials with the National Weather Service issued a Dust Storm Warning as blowing dust reduced visibility in the Las Vegas area.
Nebraska fire chief killed responding to 30,000-acre wildfire
A volunteer fire chief has been killed as the result of wildfire that is estimated to have spread to 30,000 acres. Video shows a large plume of smoke spreading through the sky in Elwood, Nebraska.
A volunteer fire chief has been killed as the result of wildfire that is estimated to have spread to 30,000 acres. Video shows a large plume of smoke spreading through the sky in Elwood, Nebraska.
Tornado Watches issued for 4 million as storms threaten South through Wednesday
Damaging winds, large hail and tornadoes are all threats from this latest siege of severe weather.
Damaging winds, large hail and tornadoes are all threats from this latest siege of severe weather.
Meteorologist calls kids on-air to warn of tornado nearing their home
During his weather broadcast, a meteorologist realized an incoming tornado was headed right for his neighborhood — and his kids were home alone.
During his weather broadcast, a meteorologist realized an incoming tornado was headed right for his neighborhood — and his kids were home alone.
Rare upward lightning strike spotted over Kansas during severe thunderstorm
Tuesday was indeed an electrifying night in Kansas as a photographer captured an incredible upward strike of lightning amid a raging thunderstorm.
Tuesday was indeed an electrifying night in Kansas as a photographer captured an incredible upward strike of lightning amid a raging thunderstorm.
Severe storms shift east after pummeling US South, killing at least 2 in Florida
Severe storms ripped across the Deep South overnight, killing at least two in the Florida Panhandle, as the threat now moves toward the East Coast.
Severe storms ripped across the Deep South overnight, killing at least two in the Florida Panhandle, as the threat now moves toward the East Coast.
Outbreak of severe storms pounding the South with destructive winds, tornadoes on Wednesday
Severe storms will impact some of the same places that were hit hard by last week's outbreak of severe weather, which resulted in more than 60 confirmed tornadoes over three days.
Severe storms will impact some of the same places that were hit hard by last week's outbreak of severe weather, which resulted in more than 60 confirmed tornadoes over three days.
Spring storm brings rain to Phoenix area; snow to northern Arizona
Parts of the Phoenix area saw blowing dust and rain, as a result of a storm that made its way through Arizona.
Parts of the Phoenix area saw blowing dust and rain, as a result of a storm that made its way through Arizona.
Pileup in Pennsylvania: Video shows fiery scene of massive I-81 crash during snow squall
A video captured the scene of a massive pileup along Pennsylvania’s I-81 during a snow squall, killing at least three people and injuring several others.
A video captured the scene of a massive pileup along Pennsylvania’s I-81 during a snow squall, killing at least three people and injuring several others.
Electrical pole in Ahwatukee neighborhood catches fire during storm: 'Never seen anything like it'
It turned into an electrifying night for an Ahwatukee neighborhood after an electrical pole went up in flames during a storm.
It turned into an electrifying night for an Ahwatukee neighborhood after an electrical pole went up in flames during a storm.
Dog Rescue: Crews pull canine out of LA River
Crews with the Los Angeles Fire Department have safely pulled a dog named Scooby out of the Los Angles River in a dramatic rescue mission.
Crews with the Los Angeles Fire Department have safely pulled a dog named Scooby out of the Los Angles River in a dramatic rescue mission.
GoFundMe created for 16-year-old who drove red truck in Texas tornado
Riley Leon did not go to the hospital after the incident because the family does not have health insurance. The GoFundMe page was created to help with medical expenses.
Riley Leon did not go to the hospital after the incident because the family does not have health insurance. The GoFundMe page was created to help with medical expenses.
'I was speechless': 16-year-old who drove red truck through Texas tornado describes event
FOX 7 Austin spoke with the teen driver who drove his red truck through a Texas tornado on Monday. He described the shocking event.
FOX 7 Austin spoke with the teen driver who drove his red truck through a Texas tornado on Monday. He described the shocking event.

















