Dogs in need of homes flown to California to escape Hurricane Delta
San Diego animal care agencies worked together to evacuate more than 100 dogs from Louisiana on Thursday, October 8, before "Hurricane Delta made landfall.
San Diego animal care agencies worked together to evacuate more than 100 dogs from Louisiana on Thursday, October 8, before "Hurricane Delta made landfall.
Hurricane Delta makes landfall on southwestern coast of Louisiana
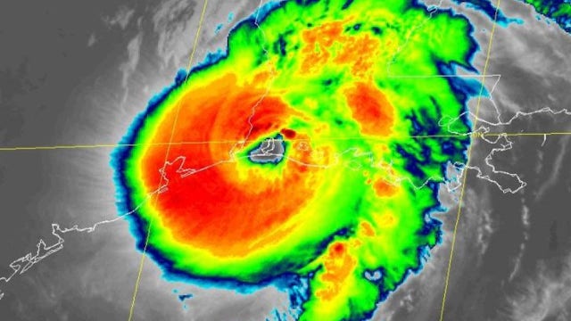
Hurricane Delta is spinning across the Gulf of Mexico toward an expected landfall in coming hours along the U.S. Gulf Coast.
Hurricane Delta is spinning across the Gulf of Mexico toward an expected landfall in coming hours along the U.S. Gulf Coast.
Louisiana priest arrested for alleged threesome on church altar: report
A Louisiana priest who was arrested for obscenity last week was allegedly caught having sex with two dominatrices on the altar of his church, court documents revealed, according to reports.
A Louisiana priest who was arrested for obscenity last week was allegedly caught having sex with two dominatrices on the altar of his church, court documents revealed, according to reports.
'It’s scary as h---': Louisiana braces for Hurricane Delta
Louisiana residents still recovering from the devastation of a powerful hurricane that hit less than two months ago are bracing themselves for another blow — this time from Hurricane Delta.
Louisiana residents still recovering from the devastation of a powerful hurricane that hit less than two months ago are bracing themselves for another blow — this time from Hurricane Delta.
Louisiana man hid in Hernando County teen's closet for weeks, arrested on child sex charges
A Louisiana man is facing multiple charges after deputies say parents of a 15-year-old girl found him living in their daughter's closet. According to Hernando County investigators, he had been living there for more than a month after traveling from Louisiana to have sex with the teen.
A Louisiana man is facing multiple charges after deputies say parents of a 15-year-old girl found him living in their daughter's closet. According to Hernando County investigators, he had been living there for more than a month after traveling from Louisiana to have sex with the teen.
New Orleans officer accused of molesting teen whose sex assault he was investigating, report says
A New Orleans police officer is behind bars, accused of molesting a teenage girl while he was investigating a separate sexual assault case in which she was the victim.
A New Orleans police officer is behind bars, accused of molesting a teenage girl while he was investigating a separate sexual assault case in which she was the victim.
Police: 3 brothers accused of raping 10-year-old girl; 1 is on the run
Police in Kenner, Louisiana, say three brothers have been accused of raping a 10-year-old girl after forcing their way into a bathroom where she was hiding.
Police in Kenner, Louisiana, say three brothers have been accused of raping a 10-year-old girl after forcing their way into a bathroom where she was hiding.
Oldest living WWII veteran celebrates 111th birthday
A man considered to be the nation's oldest living World War II veteran celebrated his 111th birthday this weekend.
A man considered to be the nation's oldest living World War II veteran celebrated his 111th birthday this weekend.
Dog stuck in a jam after trying to escape under fence in Louisiana
A Louisiana dog needed the help of firefighters after getting stuck under a fence while trying to escape a backyard late last month.
A Louisiana dog needed the help of firefighters after getting stuck under a fence while trying to escape a backyard late last month.
11-year-old boy accused of killing 39-year-old relative in Louisiana
The boy was arrested Sept. 7 on a charge of second-degree murder, authorities said.
The boy was arrested Sept. 7 on a charge of second-degree murder, authorities said.
Operation Blue Roof revived to help with Hurricane Laura recovery
The Operation Blue Roof program is currently active in Allen, Beauregard, Calcasieu, Cameron, Jefferson Davis, and Vernon parishes.
The Operation Blue Roof program is currently active in Allen, Beauregard, Calcasieu, Cameron, Jefferson Davis, and Vernon parishes.
Baton-twirling 8-year-old starts practice early to become college drum major
An 8-year-old aspiring drum major was spotted honing his skills in Baton Rouge, Louisiana, on August 30.
An 8-year-old aspiring drum major was spotted honing his skills in Baton Rouge, Louisiana, on August 30.
Residents worry about help in aftermath of Hurricane Laura
So far 18 deaths in Texas and Louisiana have been attributed to the storm; more than half of those people were killed by carbon monoxide poisoning from the unsafe operation of generators.
So far 18 deaths in Texas and Louisiana have been attributed to the storm; more than half of those people were killed by carbon monoxide poisoning from the unsafe operation of generators.
Arizona FEMA search-and-rescue team back home from Hurricane Laura disaster relief
A FEMA search-and-rescue team comprised of 45 members and 2 K-9's are headed to Louisiana Aug. 26 to help with efforts against the destruction of Hurricane Laura once it makes landfall.
A FEMA search-and-rescue team comprised of 45 members and 2 K-9's are headed to Louisiana Aug. 26 to help with efforts against the destruction of Hurricane Laura once it makes landfall.
Tropical Depression Laura still dangerous as it moves through Mid-Mississippi Valley; death toll climbs to 11
The remnants of Hurricane Laura are unleashing heavy rain hundreds of miles inland from a path of death and destruction left along the northwest Gulf Coast.
The remnants of Hurricane Laura are unleashing heavy rain hundreds of miles inland from a path of death and destruction left along the northwest Gulf Coast.
Hurricane Laura topples Louisiana Confederate monument weeks after officials voted to keep it
The Calcasieu Parish Police Jury had voted just weeks prior to leave the South’s Defenders Monument on the grounds of the courthouse.
The Calcasieu Parish Police Jury had voted just weeks prior to leave the South’s Defenders Monument on the grounds of the courthouse.
'Glass falling everywhere': Video, images show damage in the aftermath of Hurricane Laura
Laura pounded the Gulf Coast with heavy wind and torrential rain, unleashing a wall of seawater on cities in its path.
Laura pounded the Gulf Coast with heavy wind and torrential rain, unleashing a wall of seawater on cities in its path.
4 deaths caused by falling trees in Louisiana during Hurricane Laura
The governor of Louisiana says four people, including a 14-year-old girl and an 68-year-old man, were killed by falling trees as Hurricane Laura moved through the state.
The governor of Louisiana says four people, including a 14-year-old girl and an 68-year-old man, were killed by falling trees as Hurricane Laura moved through the state.
Chemical fire billows near Lake Charles in Hurricane Laura’s wake
A fire at a Louisiana chlorine plant erupted with thick, billowing smoke Thursday after Hurricane Laura plowed through part of the country’s petrochemical corridor with storm surges and fierce wind, forcing residents around the plant to shelter in their homes.
A fire at a Louisiana chlorine plant erupted with thick, billowing smoke Thursday after Hurricane Laura plowed through part of the country’s petrochemical corridor with storm surges and fierce wind, forcing residents around the plant to shelter in their homes.
Louisiana sheriff to residents: ‘Write your name... and next of kin and put it in a ziploc bag in your pocket’
The Vermilion Parish Sheriff’s Office issued a mandatory evacuation and grim warning to residents choosing to ride out Hurricane Laura rather than evacuate.
The Vermilion Parish Sheriff’s Office issued a mandatory evacuation and grim warning to residents choosing to ride out Hurricane Laura rather than evacuate.



















