No more Greek letters: Here’s what will happen when we run out of hurricane names this time
There will soon be only one name left on the 2021 hurricane list, with two months to go. So what happens if we have more than one additional storm? After last year’s salad of Greek names, there’s a new plan this year, with new names.
There will soon be only one name left on the 2021 hurricane list, with two months to go. So what happens if we have more than one additional storm? After last year’s salad of Greek names, there’s a new plan this year, with new names.
Hurricane Sam: Category 4 storm likely to bring rough surf to East Coast
Sam, still a Category 4 hurricane, is set to avoid any direct impact to the U.S. but is expected to bring big waves to the East Coast by the weekend.
Sam, still a Category 4 hurricane, is set to avoid any direct impact to the U.S. but is expected to bring big waves to the East Coast by the weekend.
Hurricane Sam sustains Category 4 storm status over Atlantic
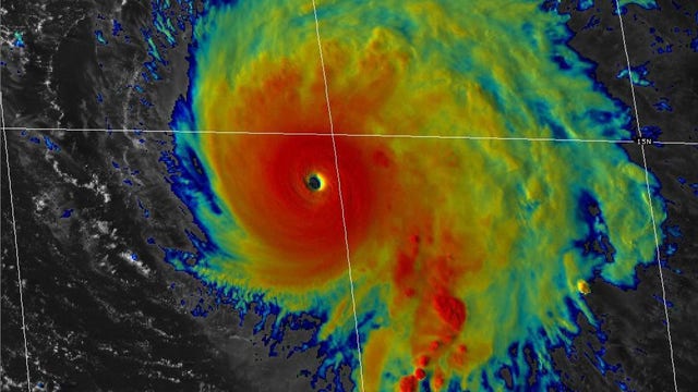
Sam maintained its powerful Category 4 hurricane status into Tuesday afternoon with maximum sustained winds of 130 mph, according to the National Hurricane Center.
Sam maintained its powerful Category 4 hurricane status into Tuesday afternoon with maximum sustained winds of 130 mph, according to the National Hurricane Center.
Sam downgraded to Category 3 hurricane in Atlantic
Hurricane Sam remained a powerful Category 3 storm in the Atlantic Ocean on Monday, but was centered well offshore from land.
Hurricane Sam remained a powerful Category 3 storm in the Atlantic Ocean on Monday, but was centered well offshore from land.
Hurricane Sam, a Category 4 storm, could fluctuate in strength this week
Hurricane Sam is a Category 4 storm, but forecasters say the system could fluctuate in strength over the next day or so.
Hurricane Sam is a Category 4 storm, but forecasters say the system could fluctuate in strength over the next day or so.
Hurricane Sam now a Category 4 storm; Teresa dwindling
Far from land, Hurricane Sam strengthened into a Category 4 hurricane in the Atlantic Ocean on Saturday.
Far from land, Hurricane Sam strengthened into a Category 4 hurricane in the Atlantic Ocean on Saturday.
Ida flooding in Northeast plagues residents with insurance woes
As residents across the Northeast U.S. recover from the catastrophic flooding from recent storms, they are being hit with another unexpected blow: Without flood coverage, their homeowners and renters insurance won't cover their losses.
As residents across the Northeast U.S. recover from the catastrophic flooding from recent storms, they are being hit with another unexpected blow: Without flood coverage, their homeowners and renters insurance won't cover their losses.
White House unveils plan to combat ‘silent killer’ extreme heat
Under a plan announced Monday, the U.S. Departments of Labor and of Health and Human Services as well as other federal agencies are launching actions intended to reduce heat-related illness and protect public health.
Under a plan announced Monday, the U.S. Departments of Labor and of Health and Human Services as well as other federal agencies are launching actions intended to reduce heat-related illness and protect public health.
UPS driver in Texas puts packages in plastic bags to protect from Nicholas' rain
A UPS driver was captured on video in Texas putting packages in plastic bags to protect them from Nicholas’ heavy rain in the area.
A UPS driver was captured on video in Texas putting packages in plastic bags to protect them from Nicholas’ heavy rain in the area.
Jellyfish swims into Texas man's flooded yard after Nicholas dumps rain
A jellyfish was spotted swimming on Sept. 14 in a flooded yard on Galveston Island in Texas after Nicholas made landfall as a Category 1 hurricane.
A jellyfish was spotted swimming on Sept. 14 in a flooded yard on Galveston Island in Texas after Nicholas made landfall as a Category 1 hurricane.
Nicholas downgraded to tropical depression, continuing to move slowly east into Louisiana
Nicholas has been downgraded to tropical depression as it continues crawling toward Louisiana after battering Southeast Texas with gusty winds and torrential rain.
Nicholas has been downgraded to tropical depression as it continues crawling toward Louisiana after battering Southeast Texas with gusty winds and torrential rain.
Nicholas weakens to tropical depression, dumps rain, brings flood threat to Gulf Coast
Tropical Storm Nicholas has weakened to a tropical depression as it slowed to a crawl over southeastern Texas and southwestern Louisiana as its heavy rains continued to drench the area, maintaining a flood threat.
Tropical Storm Nicholas has weakened to a tropical depression as it slowed to a crawl over southeastern Texas and southwestern Louisiana as its heavy rains continued to drench the area, maintaining a flood threat.
NICHOLAS IMAGES: A look at the damage in southeast Texas
Some videos and photos of the damage in southeast Texas after Nicholas blew through the area.
Some videos and photos of the damage in southeast Texas after Nicholas blew through the area.
Nicholas upgraded to hurricane as it heads for Texas Gulf Coast
The National Hurricane Center in Miami says Nicholas has strengthened to a Category 1 hurricane ahead of its expected landfall in Texas.
The National Hurricane Center in Miami says Nicholas has strengthened to a Category 1 hurricane ahead of its expected landfall in Texas.
"Go home and be safe": Harry Styles postpones Houston concert due to Hurricane Nicholas
Singer Harry Styles has postponed his Houston concert for his Love On Tour tour due to Hurricane Nicholas.
Singer Harry Styles has postponed his Houston concert for his Love On Tour tour due to Hurricane Nicholas.
Red Cross volunteer aids in Hurricane Ida recovery efforts
It's been two weeks since Ida hit Louisiana as a category 4 hurricane, bringing heavy winds and damage to much of the state. FOX 10's Ty Brennan talks to Mary Reagan, who is now back home in Arizona after answering the call to help.
It's been two weeks since Ida hit Louisiana as a category 4 hurricane, bringing heavy winds and damage to much of the state. FOX 10's Ty Brennan talks to Mary Reagan, who is now back home in Arizona after answering the call to help.
Let it blow? Hurricane naming quirk has tropics reading like cast of Disney's 'Frozen'
It turns out when the list of hurricane names came out for 2021, it coincidentally contained many of the same names of the characters in the hit movie.
It turns out when the list of hurricane names came out for 2021, it coincidentally contained many of the same names of the characters in the hit movie.
Hurricane Ida aftermath: Death toll in Louisiana rises to 26
Officials have raised Hurricane Ida's death toll in Louisiana to 26. The additional 11 deaths all occurred in the city of New Orleans.
Officials have raised Hurricane Ida's death toll in Louisiana to 26. The additional 11 deaths all occurred in the city of New Orleans.
Arizona Humane Society takes in pets displaced by Hurricane Ida
Six staff members from the Arizona Humane Society met with a team from the Louisiana SPCA in Texas to transfer 26 dogs and 14 cats into their care on Sept. 3, shelter officials said.
Six staff members from the Arizona Humane Society met with a team from the Louisiana SPCA in Texas to transfer 26 dogs and 14 cats into their care on Sept. 3, shelter officials said.
Hurricane Ida: Hundreds of thousands still without power 9 days later
More than 400,000 homes and businesses in Louisiana still don’t have power nine days after Hurricane Ida.
More than 400,000 homes and businesses in Louisiana still don’t have power nine days after Hurricane Ida.



















