Phoenix-area nonprofit looking for water donations as we reach triple-digit heat
Human Services Campus is beginning its annual drive to collect bottled water. The campus is located at 15th Avenue and Harrison, and donations will go to the Valley's homeless population, who are among the highest risk for heat-related illness or death. It's hoping to collect more than 60,000 bottles of water to get them through the hot and dry summer months.
Lightning destroys toilet at Oklahoma apartment, fire department reports
“The fan was destroyed and the toilet bowl was severely damaged,” Okmulgee’s Fire Chief Dewayne Hurt told FOX TV Stations.
3 Univ. of Oklahoma meteorology students killed in crash after storm chasing in Kansas
First responders said the students were pinned in the car for more than five hours before rescues were able to remove them from the mangled mess.
'It's devastating': Significant damage reported after tornadoes move through Kansas
Only minor injuries have been reported at this time
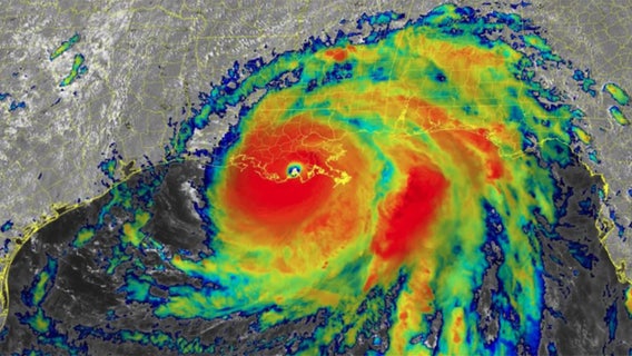
Beware the 'I' storm: It has more retirees than any other letter used for Atlantic hurricane names
Tweleve 'I' storms have been retired in the Atlantic – 10 of them since 2001.
Federal investigators order Amazon to review severe weather procedures after workers killed during tornado
The company said it will hold additional emergency preparedness drills and consider safety recommendations to improve safety.
Wildfires erupt out West, prompting evacuations and emergency declarations
Wildfire has become a year-round threat in the West given changing conditions that include earlier snowmelt and rain coming later in the fall.
‘We’re just trusting God to help us’: Pastor of church destroyed by tornado pushes ahead with Easter services
Amongst the rubble is the site of the Victory Baptist Church, which is essentially now nothing more than a concrete slab.
Watch: Storm chaser video shows moment lightning strikes car during Iowa tornado
A storm chaser in Iowa captured a “once in a lifetime” video of lightning striking his friend’s car during a tornado.
Hail larger than grapefruits falls over Central Texas
The 5.5-inch hailstone fell in Salado, Texas.
Potentially life-threatening blizzard pounds Northern Plains with historic snow, high winds
As much as 47 inches of snow has piled up in one Montana town since Monday, while up to 16 inches has been measured to the east in North Dakota.
Dust storm batters Las Vegas; National Weather Service issued warning for area
Officials with the National Weather Service issued a Dust Storm Warning as blowing dust reduced visibility in the Las Vegas area.
Nebraska fire chief killed responding to 30,000-acre wildfire
A volunteer fire chief has been killed as the result of wildfire that is estimated to have spread to 30,000 acres. Video shows a large plume of smoke spreading through the sky in Elwood, Nebraska.
Tornado Watches issued for 4 million as storms threaten South through Wednesday
Damaging winds, large hail and tornadoes are all threats from this latest siege of severe weather.
Meteorologist calls kids on-air to warn of tornado nearing their home
During his weather broadcast, a meteorologist realized an incoming tornado was headed right for his neighborhood — and his kids were home alone.
Rare upward lightning strike spotted over Kansas during severe thunderstorm
Tuesday was indeed an electrifying night in Kansas as a photographer captured an incredible upward strike of lightning amid a raging thunderstorm.
Severe storms shift east after pummeling US South, killing at least 2 in Florida
Severe storms ripped across the Deep South overnight, killing at least two in the Florida Panhandle, as the threat now moves toward the East Coast.
Outbreak of severe storms pounding the South with destructive winds, tornadoes on Wednesday
Severe storms will impact some of the same places that were hit hard by last week's outbreak of severe weather, which resulted in more than 60 confirmed tornadoes over three days.
Spring storm brings rain to Phoenix area; snow to northern Arizona
Parts of the Phoenix area saw blowing dust and rain, as a result of a storm that made its way through Arizona.
Pileup in Pennsylvania: Video shows fiery scene of massive I-81 crash during snow squall
A video captured the scene of a massive pileup along Pennsylvania’s I-81 during a snow squall, killing at least three people and injuring several others.


















